
Das blieb übrig vom Münchner Hauptbahnhof. Die Trambahn fährt wieder mit Kriegswagen ohne Blechverkleidung und oft ohne Fenster und ein Gleis der Bockerlbahn und Schuttbahn führt über den Vorplatz des Hauptbahnhof, vor dem größtenteils zerstörten Bahnhof stehen hauptsächlich amerikanische Militärfahrzeuge.



Kommentar aus der Süddeutschen Zeitung vom 7.November 1947 zur Situation des Trambahnbetriebs in München.


Der Hauptbahnhof war schwer getroffen und im größten Teil ausgebrannt. Dennoch regte sich 1948 wieder Leben im Bahnhof, denn die Eisenbahn war das einzige Verkehrsmittel, das Städte und gemeinden verband. Im Hintergrund das ausgebrannte Telegraphenamt.


In der Bayerstraße wartet der Oberleitungs-Turmwagen die provisorische Oberleitung.

Die ganze Stadt war damals von Schuttbahnen durchzogen. Die schmalspurigen Strecken hatten festgelegte Schutt-Sammelstellen und die voll beladenen Züge fuhren dann zu den Schuttbergen am Scheidplatz, Oberwiesenfeld und Neuhofen. In den letzten Kriegsmonaten gab es auch Personentransporte auf diesem Schienennetz.

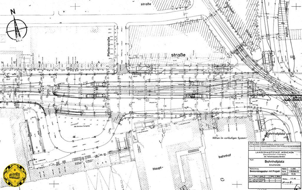
Durch die großen Kriegszerstörungen gerade im Bereich des strategischen Ziels Hauptbahnhof gab es 1049 Pläne, München ganz anders aufzubauen und man unterwarf sich keiner Tabus. So entstand auch 1949 die Planung, die Dachauerstraße ab Hauptbahnhof zu bebauen und ganz neue breitere Straßenfluchten zu bauen. Dieser Plan zeigt, welche Häuser zerstört sind, welche abgerissen werden müssen und welche neu gebaut werden könnten.
Für uns heute ist es schwierig, das nachzuvollziehen und sich vorzustellen, wie München heute aussehen würde, wenn man diesen und weitere Pläne z.B. eines Autobahndreiecks über dem Hauptbahnhof, umgesetzt hätte.

Der Verkehr, vor allem der Autoverkehr, hatte auf dem Bahnhofsplatz nach dem Krieg so stark zugenommen, dass man im September 1950 eine erste Lichtsignalregelung für den Trambahnverkehr und den Autoverkehr schuf. Inzwischen gab es auch einen Verkehrspolizisten auf einem erhöhten Podest, wie er zu dieser Zeit an manch anderen Plätzen der Stadt eingesetzt wurde: Sendlingertorplatz, Marienplatz Stachus und so weiter.
Wie diese genau Regelung erfolgten kann man dem Originaldokument vom 8.September 1950 der Verkehrsbetriebe entnehmen.






Die Trambahnen sind in der Nachkriegszeit die Schlagader des Personenverkehrs und nicht nur in der Hauptverkehrszeit heiß begehrt wie hier die Linie 3 an der Haltestelle am Hauptbahnhof-Nord in der Arnulfstraße Richtung Romanplatz.

München ist teilweise nicht mehr zu erkennen mit den vielen Ruinenhäusern und großen Lücken in der vormals stolzen Bebauung: Haltestelle Hauptbahnhof Süd in der Bayerstraße Ecke Goethestraße mit einem Wagen der Linie 10 stadtauswärts zum Westend (der Fahrer hat vergessen, das Zielschild zu drehen).

Gleicher Ort gesehen von der anderen Straßenseite mit einem Wagen der Linie 19 nach Pasing. Nach dem Wiederaufbau der Strecke durch die Landsbergerstraße bis Friedenheimerbrücke konnte man wieder direkt nach Pasing fahren.

Eine weitere Gleiserneuerung und Umbau gibt es 1953: auf der Strecke durch die Bayerstraße zwischen Bahnhofplatz und Karlsplatz erfolgt der Einbau eines 3. Gleises zur Vorsortierung in Fahrtrichtung Karlsplatz neben der Gleiserneuerung im restlichen Teil.




Der Verkehr auf dem Bahnhofplatz hat inzwischen so zugenommen, dass 1954 eine erste Fußgängerunterführung von der Schützenstraße zum Hauptbahnhof gebaut wird.

Ein Wagen der Linie 3 ist vom Romanplatz kommend in die Haltestelle Hauptbahnhof-Nord eingefahren. Anstelle der Ruine des Hotels Deutscher Kaiser stehen noch Behelfsläden.

Ein Wagen der Linie 17 auf dem Weg zum Ostfriedhof in der Haltestelle Hauptbahnhof Süd stadtauswärts.
Ein übrig gebliebener A-Wagen kommt 1953 auf seiner Strecke vom Herkomerplatz – Ismaninger Straße – Max-Weber-Platz – Maxmonument – Maximilianstraße – Lenbachplatz – Karlsplatz – Prielmayerstraße hier an der Haltestelle Hauptbahnhof Nord in der Arnulfstraße vorbei, bereit zur Abfahrt zum Steubenplatz und Romanplatz. Etwas verwirrend die Perspektive, da der Neubau des Hotels Deutscher Kaiser noch nicht gebaut war.


1955 gibt es am Bahnhofsplatz einen Umbau und Veränderung der Gleislage des Gleisdreiecks mit der Bayerstraße einschließlich Weichen und Doppelgleis zwischen Bayerstraße und Prielmayerstraße bis zu den Weichen 51 und 52.
Das Gütergleis am Hauptbahnhof zum Expressgut wird im Zuge dieses Umbaus zurückgebaut.

Diese Express-Gut-Gleis wurde in der Kriegszeit 1943 eingerichtet, um Expresslieferungen zur Übergabe an die Reichsbahn schneller befördern zu könne. Im Bild kann es gut sehen auf seinem Bogen in zur südlichen Front des Hauptbahnhofs.

Am 24.6.1955 passiert der E-Triebwagen 583 an der Kreuzung Bayer- /Schillerstraße auswärts die Baustelle. Deutlich sieht man die neue Lage der Schienen mehr zur Mitte des Bahnhofplatzes.



Wenn man genau schaut: der erste M-Wagen ist auf dem Bahnhofplatz gesichtet!




München wird modern: die ersten Neon-Reklametafeln erscheinen wie hier am Starnberger Bahnhof und Bahnhofsplatz Süd in der Bayerstraße.
Bei manchen Perspektiven aus dieser Zeit muss man sich erst orientieren: der Nordteil des Bahnhofvorplatzes mit der Dachauerstraße und der Arnulfstraße.
Linie E14 unterwegs aus den neuen Gleisen mit einem A-Wagen und zwei Beiwagen vom Karolinenplatz – Karlsplatz – Prielmayerstraße hier zur Arnulfstraße Hauptbahnhof Nord stadtauswärts und weiter durch die Seidlstraße – Stiglmaierplatz – Nymphenburger Straße – Rotkreuzplatz – Neuhausen zur Hanauer Straße. Das Hotel Deutscher Kaiser ist hier im Hintergrund schon Baustelle.

Ein K-Wagen-Zug der Linie E7 folgt auf der Weiche in die Dachauer Straße vom Friedhof-am-Perlacher-Forst kommend auf dem Weg nach Milbertshofen .

1960 wird der neue Hauptbahnhof fertig und das legendäre pilzförmige Vordach wird gebaut. An der Arnulfstraße ist das Hotel Deutscher Kaiser parallel neu entstanden mit seinem markanten 17-stöckigen Turm. Der Trambahnverkehr ist von diesem Baumaßnahmen nicht betroffen.

Der E-Triebwagen 542 mit f-Beiwagen fährt am 12.6.1964 am Bahnhofplatz stadtauswärts nach Milbertshofen.



Bester Standpunkt für das Stativ unseres Fotografen an der Haltestelle Hauptbahnhof Nord in der Arnulfstraße, um die vorbeifahrenden Trambahnen in Farbe abzulichten. Die Linie 30 nach Nymphenburg und die Linie 1 nach Moosach mit Dreiwagenzug. Dahinter steht das neu gebaute Kaufhaus Horn.
Auf und um den Bahnhofplatz beginnt eine jahrelange Baustellentätigkeit, die so lange wie möglich bei vollem Trambahnverkehr durchgeführt wird. Der Grund ist der Bau des 1. S-Bahntunnels.

Die seit der Jahrhundertwende geplante und immer wieder verworfene Planung für eine Untergrundbahn in München wird verwirklicht: die V-Bahn soll den Hauptbahnhof mit dem Ostbahnhof verbinden. Die Baustelle für die V- und später S-Bahn genannte Verbindung bringt neben dem parallelen U-Bahn-Bau jahrelange riesige Baustellen nach München. Man versucht in dieser Zeit, den Trambahnverkehr so lange wie möglich über diverse Provisorien aufrecht zu erhalten. So auch am Hauptbahnhof.


Nach umfangreichen Gleisverlegungen im Bereich der Haltestelle Hauptbahnhof Nord wird die Strecke durch die Arnulfstraße zwischen Bahnhofplatz und Seidlstraße am 6.3.1967 aufgelassen wegen S-Bahnbau und erst ab 2. Juni 1996 als Neubaustrecke wieder in Betrieb genommen.
Im Jahr 1967 ist die Strecke durch die Prielmayerstraße zwischen Karlsplatz und Bahnhofplatz nach S-Bahnbau wieder befahrbar.

Der Wagen der Linie 9 mit dem provisorischen Zielschild „Karolinenplatz“ biegt am 23.9.1967 vom Bahnhofsplatz über das neue provisorische Schottergleis am Hertie in die Prielmayerstraße ab.

Nach der wegen des S-Bahnbaus im Bereich Dachauer Straße / Bahnhofplatz und Prielmayerstraße erfogten Verlegung der Schienen auf eine Brückenkonstruktion wird diese vom 16.06.1969 – 27.07.1969 wieder abgebaut und nach der Rückverlegung wurden die Gleise in endgültiger Lage eingebaut. Die Umleitung der Linie 1 erfolgte die ganze Zeit über die Karlstraße, für die Linie 2 + 7 nur am am 26. und 27.07.1969.
Am 12.07. + 13.07., 09.08. + 10.08., 25.10. + 26.10.1969 wurde die Rückverlegung der Strecke in der Arnulfstraße zwischen Seidlstraße und Herbststraße wegen des S – Bahnbau wieder in die alter Mittellage durchgeführt. Während der Bauarbeiten erfolgte Umleitung der Linie 17 über Bahnhofplatz.


Der Hauptbahnhof wird auch nach der Fertigstellung der S-Bahn zu den Olympischen Spielen 1972 in München wieder zur Baustelle: die U-Bahn wird gebaut. Hier wartet am 23.7.1974 ein Wagen der Linie 21 zum Ostbahnhof auf die Bauarbeiter.

M4-Triebwagen 2428 + Beiwagen 3408 am 4.6.1977 am Bahnhofplatz.

Der Hauptbahnhof und diesmal vor allem die Bayerstraße beim Bau der U 4/5 im Dauer-Baustellen-Modus. Mehrmals wurden hier die Schienen der Trambahn verlegt, um den Betrieb so gut wie möglich zu erhalten.

Im März 1978 fährt auf der Linie 4 der M5-Triebwagen 2508 + mit seinem m3-Beiwagen 3368 an der Haltestelle Hauptbahnhof Nord einwärts auf den Bahnhofplatz zu.

Der Bahnhofplatz war jahrelang eine Großbaustelle, da hier ein vierstöckiges Kreuzungsbauwerk der S-Bahn-Stammstrecke, der U8/U1-Stammstrecke (heute U1/U2) sowie der zukünftigen U5/U9-Stammstrecke (heute U4/U5) entstand. Die Breite und Tiefe des Bauwerks machten hier eine Schlitzwand-Deckelbauweise erforderlich, bei der zuerst die Seitenwände und der Deckel des Bauwerks erstellt werden und erst danach die einzelnen Etagen von oben nach unten.

Der Bahnhofsplatz ist eine große Baustelle: es entstehen 2 große U-Bahnhöfe.

Die Linie 7 im April 1979 mit M4-Triebwagen 2408 + m4-Beiwagen 3428 am Bahnhofplatz in der Abzweigung in die Bayerstraße auf dem Weg zum Stachus.

Der Anschluss des Hauptbahnhofs durch die Arnulfstraße wird reaktiviert: vom 30.06.1995 – Nov.1995 wird auf der Strecke durch die Arnulfstraße zwischen Bahnhofplatz und Seidlstraße ein neues Doppelgleis verlegt, die früher vorhandenen Gleisanlagen wurden für den S – Bahnbau Ende der 60er Jahre entfernt.
Am 7.8.1995 erfolgte am Bahnhofplatz der Umbau der Kreuzung Dachauer Straße / Arnulfstraße mit dem Einbau der Weichen zur Neubaustrecke Arnulfstraße – Romanplatz (Linie 17 neu)
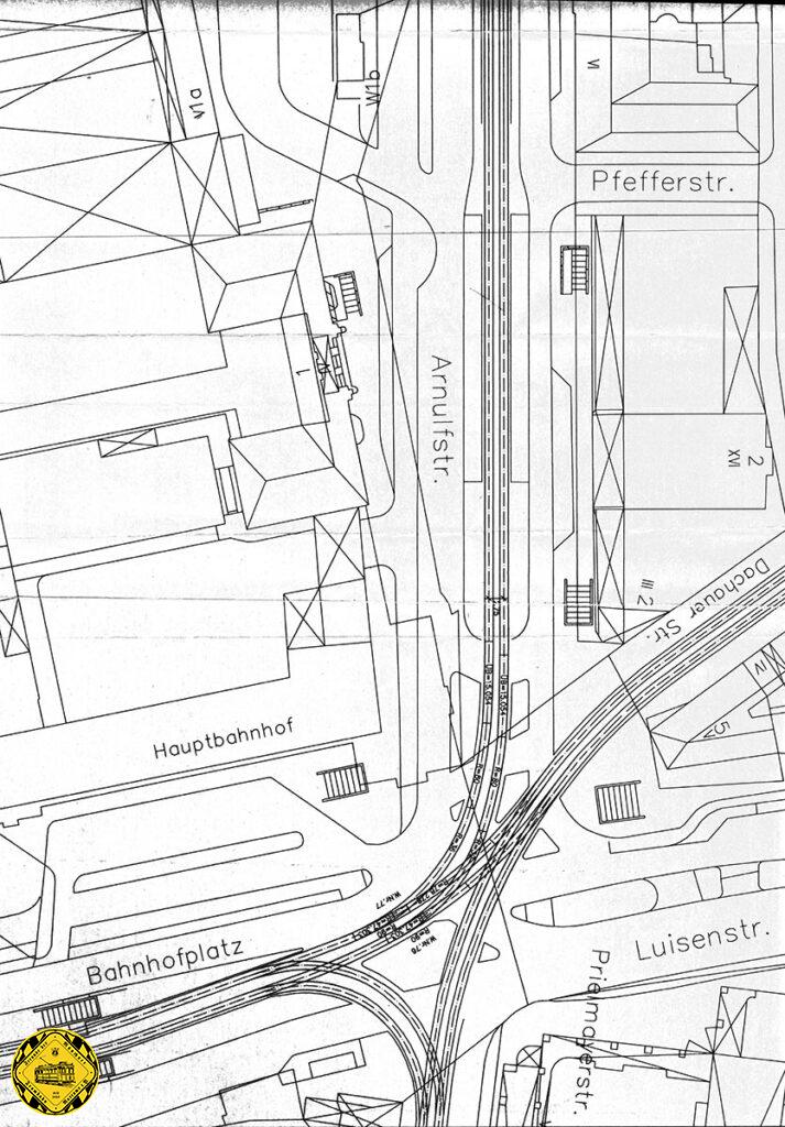
Gleisplan aus dem Jahr 1996 mit der neuen Abzweigung in die Arnulfstraße


Da hat sich unser Kameramann Klaus Werner im Sommer 1995 eine Nacht auf der Gleisbaustelle am Hauptbahnhof rumgetrieben, um uns eine neue Geschichte Heimatkunde aus München zu erzählen: Für die Wiederherstellung der Strecke der Linie 17 zum Romanplatz durch die Arnulfstraße wurde am Hauptbahnhof in Rekordzeit von vier Stunden wieder eine zweigleisige Abzweigung eingebaut. Auch in diesem Film zu sehen: die alten Gleise aus der Arnulfstraße in die Paul-Heyse-Unterführung.
Nach fast 30 Jahren wird nach einer Bauzeit ab Mai 1995 am 1.6.1996 wieder die Strecke durch die Arnulfstraße zwischen Bahnhofplatz und Seidlstraße in Betrieb genommen für die Linie 17. Die alte Strecke wurde am 6.3.1967 wegen S-Bahnbau aufgelassen.



Die Wiedereröffnung der Trambahnstrecke vom Hauptbahnhof durch die Arnulfstrasse weiter zum Romanplatz und weiter zur Amalienburgstraße am 1.Juni 1996 war gleich für mehrere Kameraleute unseres Vereins ein Grund, die Linsen zu putzen und die Akkus vollzuladen. So gibt es hier gleich 2 Versionen aus verschiedenen Blickwinkeln zur Eröffnungsfahrt mit Altwagen-Corso.
Bereits 2006 gewannen die Architekten von Auer Weber, die auch den ZOB entworfen haben, einen Wettbewerb um den Neubau des Hauptbahnhofs. Die Bahn lehnte den Entwurf wegen zu hoher Kosten zunächst ab und stellte 2011 dem Stadtrat einen eigenen Entwurf vor, welcher von diesem allerdings abgelehnt wurde. Für den nun präsentierten, von Auer Weber überarbeiteten Entwurf, möchte man nun das Genehmigungsverfahren einleiten.
Das Terminal entspricht im Wesentlichen den Plänen von 2006; neu ist allerdings ein ca. 75 Meter hoher Turm am Starnberger Flügelbahnhof. Die Planungen sehen eine Fertigstellung zum Jahr 2026 und Kosten zwischen 500 Millionen und einer Milliarde Euro vor. Die Gleishalle bleibt bestehen, wird aber generalsaniert.

Das neue Empfangsgebäude des Hauptbahnhofs und der künftig dreigleisige Vorplatz (Bild: DB Station&Service AG / Architekten Auer Weber Assoziierte)

In der Zeit vom 12.9.2015 – 13.9.2015 wird die Spitzweiche in der Bayerstraße vom Karlsplatz kommend stadtauswärts an der Abzweigung Bayerstraße / Bahnhofplatz erneuert.

Das über Jahrzehnte vertraute Bild des Münchner Hauptbahnhofs nach dem Krieg: die große Uhr im Mittelteil des Gebäudes gut sichtbar bei Tag & bei Nacht.

Im Jahr 2019 haben die Abbrucharbeiten des Bahnhofs begonnen und schreiten zügig voran.

Am Bahnhofplatz beginnt der Umbau der Gleiskreuzung auf der nördlichen Platzseite, zudem nutzen die Stadtwerke die Trampause zur Fugensanierung des 1980 eröffneten U-Bahnhofs der Linien U1, U2, U7 und U8. Wenn die Bauarbeiten nach derzeitigem Stand im November in die Winterpause gehen sollen, ermöglicht die neue Anlage auch die Durchbindung von Trambahnen zwischen Arnulf- und Prielmayerstraße. Das neue dritte Haltestellengleis vor dem Telegrafenamt für die Tramlinie 20 wird zwar schon dieses Jahr angelegt, aber erst zwischen März und Mai 2021 südseitig an der Bayerstraße angeschlossen.
Text & Bild: Frederik Buchleitner tramreport.de

Wir schauen am 6.September 2020 aus der Dachauer Straße in Richtung Bahnhofplatz

Die neue Doppelgleisverbindung Arnulfstraße-Prielmayerstraße nimmt am 17. September 2020 bereits Gestalt an

Am 20. November 2020 kommt unser alter Fahrdrahtkontrollwagen TW 2942 zur Abnahme der Oberleitung auf den Bahnhofvorplatz.

Die erste Fahrt über das dritte Haltestellengleis am Hauptbahnhof am 17.11.2021: Fahrdrahtkontrollwagen 2942 erprobt die Schienen der für die Linie 20 vorgesehenen Haltestelle

Im Jahr 2022 hat die Linie 20 ihr eigenes Bahnsteiggleis stadtauswärts bekommen. Das entflechtet den großen Trambahnverkehr auf dem Bahnhofsvorplatz, der jetzt dreigleisig ist.


Als ich versuchte, alle Trambahnlinien aufzuzählen, die jemals über den Hauptbahnhof gefahren sind, sagte mir Klaus Onnich, es wäre wesentlich kürzer, die aufzuzählen, die hier nicht drübergefahren sind. Trotzdem mein Versuch:
Linienchronik des Bahnhofsplatz

Von 21.10.1876 bis 18.10.1980

Von 29.06.1877 bis 03.10.1943
und 11.04.1965 bis 18.10.1980



Von 15.10.1877 bis 20.04.1968 mit kurzen Unterbrechungen

Von 17.07.1900 bis 16.10.1906
und 22.10.1923 bis 10.03.1924
und 27.02.1946 bis 18.04.1954
sowie 23.11.1975 bis 28.05.1983



Von 11.12.1906 bis 18.10.1980 mit kurzen Unterbrechungen

Von 16.06.1888 bis 29.04.1945
und 09.08.1948 bis 31.05.1975



Von 01.11.1890 bis 15.07.1900
und 21.03.1949 bis 11.04.1965

Von 11.12.1906 bis 03.11.1935
und 12.04.1965 bis 27.05.1972
und 24.11.1975 bis 18.10.1980



Von 21.09.1892 bis 29.04.1945
und 23.06.1947 bis 06.10.1947
und 04.06.1977 bis 19.10.1980

Von 01.02.1910 bis 03.08.1914



Von 03.05.1934 bis 09.07.1945
und 19.10.1980 bis 10.03.1984

Von 19.10.1980 bis 06.06.1986



Seit 13.09.1999

Von 11.12.1906 bis 06.03.1967
und ab 01.06.1996



Seit 02.04.1991

Seit 02.09.1907



Seit 01.06.1975

Von 04.11.1935 bis 28.05.1983 (mit Unterbrechungen)
und seit 22.05.1993



Von 10.12.2012 bis 13.12.2019

Von 06.12.1935 bis 29.04.1945



Von 25.07.1909 bis 31.03.1940

Von 17.09.1949 bis 02.11.1950
und 05.10.1981 bis 23.05.1993



Von 01.04.1936 bis 12.07.1944
und 16.10.1960 bis 15.09.1967
sowie 28.05.1972 bis 21.11.1975
und 19.10.1980 bis 23.05.1993

Von 16.12.1908 bis 29.08.1939
und 29.04.1952 bis 17.03.1989
und 11.01.2003 bis 14.09.2003
und seit 16.12.2019



Von 21.03.1949 bis 20.04.1968
und 20.03.2006 bis 07.04.2006

Von 17.10.1960 bis 09.04.1965
und 25.07.2005 bis 31.07.2005



Von 12.08.1910 bis 14.10.1913

Von 12.11.1934 bis 08.09.1944 mit Unterbrechungen und 24.10.1955 bis 18.10.1957 sowie von 17.10.1960 bis 26.05.1972 mit Unterbrechungen



In der Hauptverkehrszeit Verstärker zu Linie 1

In der Hauptverkehrszeit Verstärker zu Linie 3



Von 23.04.1956 bis 20.10.1957

Von 18.04.1954 bis 14.10.1960
(ersetzt durch Linie 31)



Von 24.10.1955 bis 14.10.1960
(ersetzt durch Linie 39)

Vom 20.06.1953 bis 11.10.1953 zur Verkehrsausstellung



Wies’n-Linie von 21.09.1957 bis 02.10.1983

Olympia-Linie 26.08.1972 bis 11.09.1972



Von 19.10.1944 mit Unterbrechungen
bis 30.04.1945

Reichsbahn-Dampf-Hilfs-Vollbahn vom 18.2 1945 bis 30.4.1945 zur Barthstraße

U-Bahnhof Hauptbahnhof




Der in Nord-Süd-Richtung unter dem Bahnhofplatz liegende Bahnhof wird von silber verkleideten Säulen in Bahnsteigmitte getragen. Die beiden geraden Bahnsteige sind an ihrem Nordende über ein Zwischengeschoss mit dem darüber angrenzenden S-Bahnhof verbunden, eine Treppe führt auch ins Sperrengeschoss. In Bahnsteigmitte befinden sich Aufgänge zu einem weiteren Zwischengeschoss, über das nach dem Bau der zweiten S-Bahn-Stammstrecke diese erreicht werden kann. Derzeit führen hier nur Rolltreppen zum Sperrengeschoss unter dem Bahnhofplatz. Am Südende der Bahnsteige erreicht man über ein kleines Zwischengeschoss den gleichnamigen Bahnhof der Linien U4 und U5 sowie nochmals das Sperrengeschoss.

Die Breite und Tiefe des Bauwerks machte hier eine Schlitzwand-Deckelbauweise erforderlich, bei der zuerst die Seitenwände und der Deckel des Bauwerks erstellt werden und erst danach die einzelnen Etagen von oben nach unten erstellt werden. Ursprünglich sollte der Bahnhof in Schräglage unter dem Kaufhaus Hertie (heute Karstadt) errichtet werden. Um die Umsteigewege zur künftigen U5/U9 und zum Hauptbahnhof selbst zu verkürzen sowie auf ein bergmännischen Bauverfahren verzichten zu können, wählte man die Lage direkt unter dem Bahnhofplatz. Während der Bauzeit ab Frühjahr 1975 musste der Oberflächenverkehr am Bahnhofplatz großräumig vorbeigeleitet werden, da da fast die komplette Fläche unterkellert werden musste für den U-Bahnhof selbst und die diversen Zwischengeschosse, in denen sich unter anderem eine Tiefgarage sowie eine Bunkeranlage für den Katastrophenfall befindet.



Betrieblich wird der Bahnhof zur Unterscheidung mit dem gleichnamigen Bahnhof der Linien U4 und U5 als „Hauptbahnhof (unten)“ bezeichnet. Das Sperrengeschoss unter der Bahnhofplatz wurde in den Jahren 2012 bis 2014 komplett renoviert und dabei grundlegend umgestaltet. Die Ladenpassagen wurden dabei an die Nordseite des Bauwerks verschoben und die Verkehrsflächen in der Mitte klarer strukturiert. Unter anderem befindet sich nun ein Kundenzentrum der MVG in zentraler Lage im Sperrengeschoss. Die helle Gestaltung der neuen Verteilerebene hebt sich dabei vom deutlich dunkleren Grau der ursprünglichen Gestaltung ab.
© Bilder & Text: Florian Schütz | u-bahn-muenchen.de

Mit dem Bau der 2. S-Bahn-Stammstrecke wird sich das Aussehen des U-Bahnhofs am Hauptbahnhof verändern. Heute werden die beiden Bahnsteigsbereiche von einer Säulenreihe getrennt, künftig werden im Bereich unmittelbar über dem Stammstreckentunnel diese Säulen im Bereich von sechs bisherigen Durchgängen zu einer durchgängigen Wand ergänzt, im vorderen und hinteren Bereich des Bahnsteigs werden die Säulen lediglich verstärkt, hier verbleibt ein Säulenabstand in jeweils vier Fenstern zwischen 1,85m und 3,10m. Ein Übergang zum zentralen Zugangsbauwerk der 2. Stammstrecke wird über die Verteilerebene über den Bahnsteigen der U1/U2 möglich sein.

© FMTM e.V.
Diese Dokumentation entstand mit der Unterstützung von Peter Hübner, Klaus Onnich, Dieter Kubisch, Florian Schütz und Frederik Buchleitner sowie dem Bayerischen Hauptstaatsarchiv, dem Staatsarchiv München und besonders dem Stadtarchiv München. Zusammengetragen & umgesetzt hat diese Seite Reinhold Kocaurek.

