Die Kreuzung der Staatsbahnstrecke nach Landshut, die diese von der bayerischen Ostbahn übernommen hatte, stellte für die Techniker und Behörden große Herausforderungen dar. Zum einen musste eine technische Lösung für die Schienenlagen gefunden werden, zum anderen gab es bisher keine Vorschriften für die Kreuzung einer Dampftrambahn mit einer Hauptstrecke. Die erste Vereinfachung war, dass bei der 1882 gebauten Dampfbahnstrecke große Streckenteile nur eingleisig ausgeführt waren und nur an den Haltestellen zweigleisig, was damit natürlich auch die Zugfolge und Fahrplan festlegte. An den Weichen wurde gepflastert, damit keine Steine vom Makadam-Belag die Zungen der weichen blockierten und in der Mitte gab es gepflasterte Pfade zum Bürgersteig, sehr angenehm bei nassem Wetter und verschlammter Straße.

Gleisplan-Ausschnitt des Bahnübergangs mit der Staatsbahn von der MTAG
Die Bahnstrecke München–Regensburg wurde von der am 12. April 1856 gegründeten „Königlich privilegierten Aktiengesellschaft der bayerischen Ostbahnen“ erbaut und ging in zwei Abschnitten in Betrieb. Zunächst wurde die Strecke von München nach Freising gebaut. Die erste Probefahrt fand am 28. Juni 1858 mit Mitgliedern des Verwaltungsrates der Ostbahnen statt. Erst nach Vollendung des Streckenabschnittes von Freising nach Landshut konnte am 3. November 1858 um sieben Uhr morgens Fahrtbeginn mit zweistündiger Fahrtzeit die neu gebaute Gleisstrecke offiziell für den „Personen- und Reisegepäckverkehr“ und am 15. November 1858 auch für den Güterverkehr eröffnet werden. Die Strecke ging am 1. Januar 1876 an die königlich bayerische Staatsbahn.


Wie der Verkehr an dieser Kreuzung geregelt wurde, ist den beiden Auszügen aus den Betriebsanweisungen zu entnehmen, die wir euch nicht vorenthalten wollen.
Vorläufige Dienstanweisung für die Handhabung der Signalanlage an der Überfahrt der Nymphenburger Straße über die Bahn von München nach Landshut
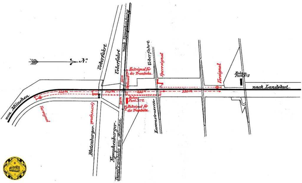
§ 1….es wurden für die Hauptbahn als für Trambahn Sperr- bzw. Haltesignale aufgestellt, von denen 2 je 8 Meter hohe Sperrsignale für die Hauptbahn, ist das eine für die von Feldmoching nach München fahrenden Züge bestimmt und in der Richtung gegen die Militär-Schwimmschule 235m vom Bahnwärterposten Nr. 2 München-Landshut entfernt, während das andere für die von München nach Feldmoching verkehrenden Züge bestimmte 170m vom genannten Posten in der Richtung gegen München entfernt ist. Mit beiden Signalen sind Vorsignale verbunden, welche sich, in der Fahrtrichtung gesehen je 350m vor demselben befindet. Die Signale sind rechts des Gleises aufgestellt und zum Geben der Signale 13 –15 der Signalordnung für die K. B. Staatsbahnen vom 1.April 1886 eingerichtet. Für die Dampftrambahn sind beiderseitig der Nymphenburger Überfahrt je 30m von der Schrankensignalbäumen zwei Haltesignale mit rothweißer Scheibe aufgestellt. Diese letzteren Signale zeigen in der Haltstellung den Dampftrambahnzügen die breite Seite der Scheibe, d. h. letztere stehen senkrecht zum Trambahngeleise, während bei „Freie Fahrt“ die Scheibe parallel zu diesen Geleisen steht. Bei Nacht zeigen diese Signale dem gegen die Überfahrt fahrenden Trambahnführer bei „Fahrtfrei“ weißes, bei Haltstellung rotes Signal, während beide Signale in letzterem Falle gegen die Schranke zu grünes Licht zeigen.
§ 2 Zum Stellen vorgenannter Signale dient das unmittelbar vor dem Bahnwärterhause aufgestellte Stellwerk. Dasselbe besteht aus einem Doppelständer mit zwei Kurbeln, von welcher die linke zum gleichzeitigen Stellen der beiden Trambahnsignale, die rechte zum Ziehen des Hauptbahn-Sperrsignals dient…durch einen Flacheisenschieber zwischen den beiden Kurbeln…d. h. es müssen die Trambahnsignale erst auf Halt gezogen werden, bevor die Hauptbahnsignale auf „Freie Fahrt“ gestellt werden können…,
§ 3,Die Bedienung der Signale hat in folgender Weise zu geschehen: Zuerst sind bei Annäherung eines Hauptbahnzuges sämtliche Schranken zu schließen. Anschließend sind die Trambahnsignale mittels Drehung der linksseitigen Kurbel nach oben auf „Halt“ zu ziehen, worauf dann das bezügliche Hauptbahnsignal auf „Fahrt“ gestellt werden kann…,
§ 4,…Wie sich die Dampftrambahnzüge zu verhalten haben, wenn ihre Signale auf „Freie Fahrt“ zeigen, ob sie, wie bisher, vor dem Befahren der Überfahrt anhalten oder und mit welcher Geschwindigkeit ihre Fahrt ohne Anhalten fortsetzen dürfen, wird durch straßenpolizeiliche Anordnung festgesetzt.
§ 5 In der Regel sollen, solange kein Zug der Hauptbahn zu erwarten ist, die Signale derselben auf „Halt“, jene der Dampftrambahn auf „Freie Fahrt“ zeigen, so daß die Halt-Stellung der Signalscheiben auch für das auf der Straße verkehrende Publikum das Herannahen eines Hauptbahnzuges anzeigt.
München, im August 1889, Kgl. Oberbahnamt Faerber
Königlich Bayerisches Kreis Amtsblatt von Oberbayern NR 36 vom 9.Dezember 1890
…
§ 32
Die Fahrgeschwindigkeit darf auf der Trambahnstrecke
a.) Von der Salzstraße bis zur Kreuzung Blutenburg- und Maillerstraße 12 Kilometer,
b.) Bei der Thalfahrt in der Salzstraße 6 Kilometer
c.) Von der Kreuzung Blutenburg- und Maillingerstraße bis zum Übergang über die Staatsbahn nach Regensburg 10 Kilometer
d.) Auf dem Übergang über die Staatsbahn nach Regensburg 6 Kilometer,
e.) Vom Übergang über die Regensburger Staatsbahn bis zur Ullmannstaße,12 Kilometer,
f.) Durch die Uhlmannstraße 10 Kilometer,
g.) Von der Uhlmannstraße bis zur Kreuzung der Winthier- und Romanstraße 8 Kilometer,
h.) Von der Romanstraße bis nach Nymphenburg 16 Kilometer In der Stunde nicht übersteigen.
Für die Einhaltung des Fahrgeschwindigkeit ist der Maschinenführer verantwortlich. Der Übergang über die Staatsbahn nach Regensburg ist mit größter Vorsicht zu befahren und darf die gestattete Geschwindigkeit niemals überschritten werden. Die Lokomotive hat, auch wenn die dortigen Wegschranken offen sind vor den Haltsignalen der Staatsbahn zu beiden Seiten des Bahnüberganges stille zu halten, wenn die Signalscheiben mit rothweißer Farbe senkrecht zur Fahrtrichtung stehen oder bei Nacht rot geblendete Lichter zeigen. Auf doppelgleisigen Bahnstrecken haben die Züge regelmäßig das in ihrer Fahrtrichtung rechtsliegende Geleise zu befahren.

Im Jahr 1892 wurde diese Strecke aufgelassen und nicht mehr genutzt, damit war auch die geregelte Kreuzung an der Blutenburgstraße und Nymphenburgerstraße hinfällig. Trotzdem war an dieser Stelle die nun hier verkehrende Pferdebahnstrecke nur eingleisig.
Koenigl. Bayerisches Staatsministerium des koenigl. Hauses u. des Aeussern am 1.1.1893
Betreff: Die Kreuzung der Staatsbahn mit den Trambahnlinien in der
Nymphenburger- und in der Blutenburg-Straße.
„Nachdem die bisherige Linie München-Feldmoching der k. Staatseisenbahnen durch die Linie München – Moosach –Feldmoching ersetzt worden ist und auf der alten Strecke ein regelmäßiger Betrieb nicht mehr stattfindet, erscheinen die Vorsichtsmaßregeln, welche zur Sicherung des Uebergangs der Dampftrambahn über die Staatseisenbahn durch die Ministerialvorschriften vom 26.t Februar 1890 bezw. 2t Januar 1891 und durch die oberpolizeilichen Vorschriften vom 21t März bzw. 2t Dezember 1890 angeordnet worden sind, nunmehr insofern als gegenstandslos, als der eingeführte besondere Signaldienst außer Betrieb gesetzt
worden ist.“


Im Februar 1901 wurde dann mit der Elektrifizierung der Strecke aus der Stadt nach Nymphenburg und Neuhausen auch der unbenutzte Bahnübergang zweigleisig und verschwand dann auch bald.
Ab der Stilllegung dieser Bahnstrecke für den Regelverkehr wurde auch das Zufahrtsgleis 1894 geschwenkt und war nun aus Richtig Pasing anzufahren.


