Der Promenadeplatz

Der Promenadeplatz im Jahr 1865 hatte zwar schon seine Grünanlage in der Mitte des Platzes, allerdings waren die Straßen damals weder geteert oder gepflastert noch besonders befestigt. An Trambahn dachte noch niemand.
An der Stelle des heutigen Platzes standen ab dem 15. Jahrhundert die städtischen Salzstadel, die 1778 abgerissen wurden. Der dadurch entstehende Platz wurde zunächst als Paradeplatz genutzt und benannt und 1804 zu einer Grünanlage umgestaltet. Seinen gegenwärtigen Namen trägt er seit dem Beginn des 19. Jahrhunderts. Das Bild zeigt den westlichen Teil mit Salzstadel.


Das dürfte der älteste Gleisplan der Münchner Trambahn überhaupt sein: datiert für die Vorlage beim Magistrat am 20.Februar 1875 ist dieser Plan Teil der Bewerbung des Belgiers Otlet für den Bau einer Pferdebahn in München.
Am 26. März 1876 schloss der Münchner Bürgermeister von Erhard mit Otlet einen noch zu genehmigenden Vertrag durch den Magistrat ab. Otlet erhielt eine Konzession auf 30 Jahre, wobei ein Liniennetz, bestehend aus zwei Linien, durch die Stadt geführt werden sollte.
- Die West-Ost-Linie: Nymphenburger Schlossallee – Neuhausen – Nyphenburger Straße – Stiglmaierplatz – Dachauer Straße – Bahnhofplatz – Karlsplatz – Sendlinger-Tor-Platz – Müllerstraße – Fraunhoferstraße – Klenzestraße – Gärtnerplatz – Rumfordstraße – Zweibrückenstraße – Ludwigsbrücke – Rosenheimer Straße – Bahnhof Haidhausen (heute: Ostbahnhof)
- Die Nord-Süd-Linie: Großer Wirt Schwabing (heute Münchener Freiheit) – Schwabinger Landstraße (heute: Leopoldstraße) – Ludwigstraße – Odeonsplatz – Brienner Straße – Lenbachplatz – Karlsplatz – Bahnhofplatz – Bayerstraße – Hackerberg (Theresienhöhe)

Freisinger Tageblatt vom 15.9.1876
Außerdem war ein Betrieb im 10-Minuten-Takt vorgesehen, wobei an den Bahnhöfen stets Anschluss zu den Zügen gewährleistet sein sollte. Die Stadt München beanspruchte für die Benutzung städtischen Grundes 1% der Bruttoeinnahmen. Am 20. Mai 1876 erteilte König Ludwig II. die Konzession und am 23. Juni 1876 wurde der Vertrag unterzeichnet. Schon im Juli begannen die Bauarbeiten für die erste Teilstrecke vom Promenadeplatz zur Nymphenburger Straße, wobei an den Endpunkten keine Kehrschleifen, sondern nur Umsetzgleise vorgesehen waren.
Am Promenadeplatz hat am 21.Oktober 1876 die Münchner Trambahngeschichte begonnen.
Damals konnte die Pferdetram auf der 2.800 Meter langen West-Ost-Linie zwischen dem Burgfrieden an der Nymphenburger- /Maillingerstraße und dem Promenadeplatz ihren Betrieb aufnehmen. Eine Fahrt dauerte etwa 20 Minuten, wobei die Pferdebahn eine Reisegeschwindigkeit von zwei bis drei Stundenkilometern erreichte. Gefahren wurde zwischen 7:30 Uhr und 21:30 Uhr im 10-Minuten-Takt, zu bestimmten Zeiten auch alle fünf Minuten. Otlet hatte seinen Betrieb auf dieser sogenannten „Weißen Linie“ mit acht geschlossenen, ca. sechs Meter langen, zweiachsigen Wagen, die von der Fa. Henry Plas in Curagham bei Brüssel gebaut worden waren, aufgenommen. Sie boten Platz für 24 Fahrgäste, davon 12 auf Sitzplätzen, und trugen eine weiß-blaue Lackierung mit der Aufschrift „Münchener Tramway Ed. Otlet“.

Landshuter Zeitung vom 24.10.1876

Am Promenadeplatz steht 1880 eine Pferdebahn mit einem Sommerwagen abfahrbereit Richtung Nymphenburg.

Die gleiche Szenerie 1880, allerdings aus einem anderen Blickwinkel und mit einem geschlossenen Pferdebahn-Wagen.

Häuser am Promenadeplatz

Im Bild oben auch die vornehme Weinhandlung von Franz J. Leibenfrost & Cie, heute (1898) sogar mit Chef vor der Türe. Telefon hat man auch, damals reichte vierstellig für ganz München.


Das Ministerium des kgl. Hauses und des Äußeren (ehemaliges Montgelas-Palais) am Promenadeplatz

Der Promenadeplatz war der vornehme Teil der Stadt und hatte neben Palais und großen Hotels auch hochwertige Einkaufsläden auf beiden Seiten der Mittelinsel.

Das Maffei-Palais war dann auch namensgebend für die anschließende Straße.

An der Ecke zur Karmeliterstraße gab es Briefmarken und eine Schokoladen- & Pralinenfabrik.


Im Eckhaus vom Promenadeplatz gab es schon seit 1870 Loden Frey neben vielen anderen kleinen Läden und die Maffeistraße selbst hatte damals sehr viele Bekleidungs- und Modeläden. Hier kann man auch sehen, wie schmal diese Straße war und verstehen, warum hier lange keine zweigleisige Trambahnstrecke geduldet war.

Das Hotel „Bayerischer Hof“ hatte 1876 schon 100 Fremdenbetten, wie man das damals formulierte und hatte fast genau gegenüber Konkurrenz im Hotel Max Emanuel mit seinem Cafe und Restaurant. Da kam eine direkte Pferdebahn-Verbindung zum Bahnhof gerade recht.

Die Trambahn in München war im ausgehenden 19.Jahrhundert zwar beliebt, aber gegen den Widerstand von Magistrat und Kurfürst sowie Polizeidirektion und Ministerium des Äusseren (zuständig für die Trambahn) gelang es 20 Jahre lang bis 1896 nicht, eine Innenstadt-durchquerende Linie zu bauen. Besonders die Verbindung vom Promenadeplatz zum damaligen Hoftheater war sehr umstritten. So endeten die Linien ohne Übergang zu anderen Linien in den stadteinwärts führenden Straßen. Da damals im Zweirichtungsbetrieb mit der Pferdebahn gefahren wurde, was die einfach mit einer Weiche oder einem Kreuzungsgleis zu bewerkstelligen.
Die Maffeistraße erschien vielen Behördenvertretern als zu schmal, insbesondere „wenn Möbelfuhrwerke rechts und links der Straße beladen würden“. Die Trambahngesellschaft verwies auf den Ausnahmefall, dass gerade zu einem Zeitpunkt 2 Parteien umziehen wollen, wo die meisten Häuser ohnehin Geschäftshäuser seien. Außerdem würde der Postverkehr mit Fuhrwerken von der Residenzpost zur Hauptpost über diese Route abgewickelt, trug die Polizeidirektion vor. Postfuhrwerks-Kutscher seinen sehr gute Fahrer, erwiderte die Trambahngesellschaft und könnten gut der Trambahn ausweichen. Die Archive sind voll von Argumenten & Gegen-Argumenten.


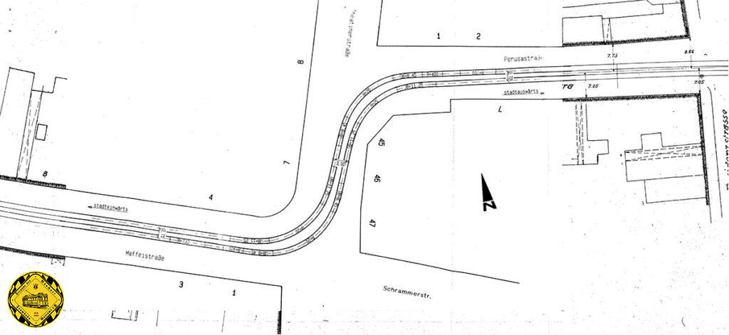
Ab 1882, also schon recht bald nach Eröffnung der ersten Pferdebahnlinien, gab es große Diskussionen, ob und wie man durch die Perusa- und Maffeistraße die Trambahn vom Hoftheater zum Promenadplatz verbinden könne. Es gab unzählige Planungsvorschläge. Der erste war eine nur eingleisige Führung der Schienen durch diesen engen Bereich der Stadt. Damit wäre aber eine umfangreiche Verkehrsregelung für den Gegenverkehrsbereich verbunden gewesen und große Einschränkung des Fahrplan des Pferdebahnbetriebs.

14 Jahre nach den ersten Planung einer Verbindung der Ostbahnhof-Linie vom Hoftheater startend und der Nymphenburg-Linie am Promenadeplatz startend war man sich dann doch einig, auch wegen der zu erwartenden Verkehrsaufkommens, eine zweigleisige Verbindung für die Pferdebahn zu bauen. Die Strecke wurde am Promenadeplatz in dieser Planung noch mit zwei Weichen in dem engen Wendekreis der Schleife am Promenadeplatz ausgefädelt. Diese Planung erwies sich aber als für einen störungsfreien Betrieb nicht geeignet und man setzte Weichen in die geraden Gleisstücke auf dem Promenadeplatz.
Baubeginn dieser 435m langen zweigleisigen Verbindungsstrecke war der 21.6.1897. Am 27.07.1897 wurde die Strecke vom Promenadeplatz durch die Maffeistraße bis Theatinerstraße und weiter durch die Perusastraße als Pferdebahnlinie in Betrieb genommen.

Ein Jahr nach der Eröffnung der Strecke durch die Stadt steht im Sommer 1898 ein Pferdebahnwagen an der Haltestelle Königliches Hoftheater bereit zur Weiterfahrt zum Promenadeplatz.


Auf diesem Bild von 1904 kommt der TW 140 gerade am Promandeplatz an. Gut kann man die vorgezogenen Weichen in der Gleisführung erkennen. Dieses Bild dokumentiert auch schön das alte Stationshaus am Promenadeplatz.

Ab dem 17.7.1900 wird es auf der Strecke Strecke ab Lenbachplatz durch die Pacellistraße über den Promenadeplatz und weiter die Maffeistraße bis Theatinerstraße und Perusastraße zum Hoftheater elektrisch.
Eine Postkarte von 1905 zeigt einen regen Trambahnverkehr auf dem Promenadeplatz.

Der Promenadeplatz bekam wegen seiner außergewöhnliche Anlage spezielle schicke Fahrdraht-Masten.


Als 1910 der Wagen der Linie 12 an gleicher Stelle fährt, ist das Wartehäuschen verschwunden.
Auf der Linie E14 steht der E-Tw 610 mit Personal am Promenadeplatz im Jahr 1943

Ab dem 26.4.1933 wurde der Promenadeplatz von den Nationalsozialisten auf Ritter von Epp-Platz umbenannt nach dem Reichsstatthalter in Bayern von 1933 bis 1945. Am 6.6.1945 erfolgte die Rückbenennung auf Promenadeplatz im Rahmen der Entmilitarisierung.



Nach dem Krieg ist der Promenadeplatz kaum noch zu erkennen: mehr als die Hälfte der Häuser sind zerstört oder soweit beschädigt, dass sie abgetragen werden müssen. Nicht alle Häuser werden wieder im alten Stil aufgebaut.


Die Geschichte des fehlenden Denkmals: nach dem Krieg fehlte ein Denkmal auf dem Promenadeplatz: es zeigte Herrn Wiguläus Xaverius Aloysius Kreittmayr. Das Denkmal wurde noch vor dem Krieg auf den Maximiliansplatz umgesiedelt, im Krieg eingelagert und danach nicht mehr aufgestellt: im Münchner Stadtrat hatte es dagegen Widerstand gegeben, da ihm die unkritische Übernahme von Folter und Todesstrafe in seinen Gesetzeskodex vorgeworfen wurde. Heute steht hier das moderne Denkmal von Maximilian von Montgelas.

Blick 1946 in die Perusastraße von der Theatinerstraße Richtung Maximilianstraße: lange war hier kein Trambahnbetrieb möglich, da die Häuser einsturzgefährdet waren und entweder abgetragen werden mußten oder stabilisiert. Durch die zerstörten und fehlenden Häuser wurde auch der Fahrleitungsbau enorm erschwert.

In der Theatinerstraße zwischen Perusastraße und Maffeistraße versucht 1946 man schon wieder, die Fahrleitung betriebsbereit zu kriegen. Das im Hintergrund vorspringende Haus war die Polizeidirektion und wurde abgetragen und ist heute der Marienhof.


Maffeistraße Ecke Theatiner-/Weinstraße: das Eckhaus ist komplett zerstört und im Jahr 1945 wird der Schutt mit Hand auf die Wagen auf den Trambahngleisen verladen und weggefahren: das Bild ist von der Theatinerstraße aus in die Maffeistraße Richtung Promenadeplatz gemacht. 1951 gibt es schon die Baustelle für das neue Eckhaus.

1959 ist schon wieder ganz schön Leben in Münchens Straßen: die schicken M-Wagen werden Symbol der Münchner Nachkriegs-Trambahngeschichte auch hier in der Maffeistraße.
Erst im Jahr 1949 wird die Schleife am Promenadeplatz aufgelassen. Jetzt geht es nur noch schnurstracks von der Pacellistraße über den Platz in die Maffeistraße.

D-Tw 467 am Promenadeplatz auf der Linie 30 im Jahr 1964

Linie 30 mit dem M-Tw 769 am Promenadeplatz am 4.5.1967


Heute ist der Promenadeplatz nicht mal mehr eine Trambahnhaltestelle, der Platz, an dem die Münchner Trambahn geboren wurde….
Auch heute wird noch Trambahngeschichte nahe der ersten Haltesteller einer Münchner Trambahn geschrieben: Übergabe der Zulassungsbescheide für die Inbetriebnahme des umgebauten Romanplatzes und den neun T3-Wagen. Auf einer kurzen Rundfahrt mit dem Avenio 2759 präsentieren Regierungspräsidentin Maria Els und MVG-Geschäftsführer Ingo Wortmann in der Maffeistraße die nötigen Dokumente

Linienchronik Promenadeplatz

Linie I (Linienfarbe: Weiß) begann die Münchner Trambahngeschichte hier am Promenadeplatz am 21.10.1876 bis zum 17.07.1900. Eine Baustellenumfahrung gab es vom 12.11.1934 bis zum 14.12.1934 wegen der Verbreiterung der Ludwigsbücke. Nach dem Krieg fuhr die Linie 1 vom 21.04.1968 bis 18.10.1980 nochmal hier.
Die Linie 1 unterwegs mit dem M4-Tw 919 am Promenadeplatz einwärts am 17.6.1968.


Linie IV (Linienfarbe: Gelb-Rot) fuhr ab dem 17.07.1900 mit Kriegs-Unterbrechungen bis zum 19.10.1980 über den Promenadeplatz.
D6-Tw 448 + e-Bw auf der Linie 4 auf der Kreuzung Perusa-/Theatinerstraße einwärts unterwegs zum Promenadeplatz am 13.10.1964


Die Linie 9 fuhr wie manch andere Linien vom 12.11.1934 bis 14.12.1934 als Baustellenumleitung über den Promenadeplatz, als die Ludwigsbrücke damals verbreitert wurde.

Der 11.12.1906 war der erste Tag für die Linie 12 am Promenadeplatz bis zum 13.12.1943 mit kleineren Unterbrechungen.

Eine Kurzbesuch der Linie 16 meldet der Chronist vom 12.08.2019 bis zum 26.08.2019 am Promenadeplatz.
Der A2-Tw 230 verläßt im Jahr 1916 den Stachus, um auf der Linie 12, dem damaligen Südring, um zum Promedeplatz einzubiegen.


Klassiker am Promenadeplatz: Linie 19 begann am 19.05.1934 erstmal bis zum 14.12.1934, kurz vom 07.10.1940 bis 03.11.1940 und 03.09.1945 bis 16.02.1947. Ab dem 19.10.1980 fährt die Linie 19 bis heute über den Promenadeplatz.
P3-Tw 2023 + p3-Bw 3039 in der Maffeistraße auf der Linie 19 Richtung Promenadeplatz am 12.8.1991



Über den Promenadeplatz fuhr auch die Linie 27 vom 11.03.1984 bis 28.10.1988.
M4-Tw 2421 auf der Linie 27 an der Haltestelle Theatinerstraße vom Promenadeplatz kommend in Richtung Steinhausen im August 1984


Immer mal wieder: Linie 29 am Promenadeplatz vom 20.07.1934 bis 03.10.1934, 04.11.1935 bis 29.08.1939, 01.08.1984 bis 17.03.1989 und 11.01.2003 bis 14.09.2003.
Die Linie 29 ist am 30.7.1984 mit dem Tw 2661 + Bw am Nationaltheater auf dem Weg zum Promenadeplatz unterwegs


Die Linienchronik der Münchner Trambahn muss um einen kuriosen Eintrag ergänzt werden: Am heutigen Sonntag pendelte die für wenige Stunden zurückgekehrte Tramlinie 29 zwischen dem Stiglmaierplatz und dem Maxmonument. Vier Kurse, gestellt durch die modernisierten R2-Wagen 2114, 2115, 2130 und 2135, fuhren ab 14 Uhr auf der Ersatzlinie.
Tramreport.de | Frederik Buchleitner
Linie 29 mit R2-Wagen 2114 fährt am 1.8.2016 aus der Fußgängerzone in der Maffeistraße auf den Promenadeplatz.


Ein Nachkriegsgast war die Linie 30 vom 21.03.1949 bis zum letzten Betriebstag der Linie 30 am 20.04.1968.
Linie 30 mit dem M-Tw 887 an der Haltestelle Maffei-/Theatinerstraße vom Promenadeplatz kommend im August 1959


Die Linie 34 kennt den Promenadeplatz von ihrer kurzen kompletten Betriebszeit hier vom 04.11.1935 bis zum 04.05.1940.
Von der Linie 34 gibt es nur ganz wenig Bilder: D-Tw 480 auf der Linie 34 mit Mann & Spitz in der Maximilianstraße 1936 vom Promenadeplatz kommend.


Eine Baustellenlinie war die Linie 38 von 17.05.2016 bis 15.08.2016 am Promenadeplatz.


Die 2 Leben der Linie 39: einmal vom 14.08.1944 bis zum 08.09.1944 und als Baustellenlinie nochmal vom 03.08.2009 bis zum 14.09.2009.

Der Meister des Bildarrangements H. Pollitzer ist im August 1970 am Promenadeplatz gemeinsam mit einem Heidelberger-Zug der Linie 11 verewigt worden: er ist ein wichtiger Teil unserer Vereinsgeschichte, weil wir H. Pollitzer neben ein paar ewig weiterleben markigen Redewendung unserm Verein einmalige Bilddokumente und vor allem Trambahnwagen verdanken.

Last but not least: natürlich kommt auch der Fahrdrahtkontrollwagen TW 2942 ab und zu am Promenadeplatz vorbei, am 25.Mai 2016 von Klaus Werner, dem besten aller Fahrdrahtkontrollwagen-Jäger, eingefangen.


© FMTM e.V.
Diese Dokumentation entstand mit der Unterstützung von Peter Hübner, Klaus Onnich, Dieter Kubisch ✟, Florian Schütz und Frederik Buchleitner sowie dem Bayerischen Hauptstaatsarchiv, dem Staatsarchiv München und besonders dem Stadtarchiv München. Recherchiert, zusammengetragen & umgesetzt hat diese Seite Reinhold Kocaurek.

