


Am 16.09.1882 ging die Strecke von der Maximilianstraße über Maxmonument – Maximiliansbrücke – südl. Maximilianeum – Max-Planck-Straße zum Max-Weber-Platz als Pferdebahnlinie in Betrieb. Der Max-Weber-Platz im Jahr 1889: die erste Wartehalle wird geplant, genehmigt und gebaut. Es ist ein einfaches quadratisches Holzgebäude mit Verglasung.
Der noch etwas spärliche Gleisplan des Max-Weber-Platzes aus dem Jahr 1898 zeigt schon die erste Wartehalle verzeichnet.

1904 am Max-Weber-Platz : leider ist die Wartehalle ganz rechts nicht im Bild, aber ein Zeitungskiosk ist dazugekommen.

Am 30.Juli 1906 kommen die Pläne für ein erstes Stationshaus auf dem Max-Weber-Platz mit Pissoir und Wartehalle. Damit werden auch die alte Wartehalle und das alte Pissoir auf der Verkehrsinsel abgerissen.


Der Architekt Richard Schachner schuf 1906 das Stationshaus am Max-Weber-Platz. Damals war der Max-Weber-Platz schon ein großer Knotenpunkt der Münchner Trambahn, vor allem auch wegen des nahegelegenen Depot an der Äußeren Wienerstraße, heute der Einsteinstraße.
Ein Foto von 1910 zeigt das neue Stationshaus am Max-Weber-Platz und einen A-Wagen auf der Linie 19 stadteinwärts. Die Linie 19 kam damals von Steinhausen (Am Kirchstein/ Gaswerk) durch die Äußere-Wiener-Straße und fuhr weiter über Gasteig – Isartorplatz – Marienplatz – Karlsplatz – Bayerstraße – Hauptbahnhof – Bayerstraße – Theresienhöhe zur Kazmairstraße und endete an der Astaller-/Kazmairstraße.


Der Grundriss zeigt die innere Aufteilung des neuen Stationshauses: Toiletten für Frauen und Männer, der Raum für die Wärterin, der Arbeitsraum für den Stationsmeister, einen Warteraum in der Mitte und einen Zeitungskiosk.





Für den ambitionierten Modellbauer hier nochmal alle Ansichten des Gebäudes. Die genauen Maße bitte dem oberen Grundriss entnehmen.
Das Fundament des Stationshauses: es war nicht unterkellert.

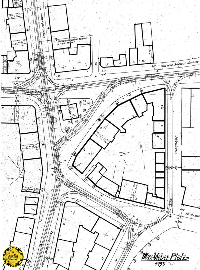
Im Jahr 1935 war der Max-Weber-Platz einer der verkehrsreichsten Trambahnknotenpunkte im Osten der Stadt.

Im Juni 1940 fotografiert der Fotograf der Stadtwerke das Stationshaus am Max-Weber-Platz

Das Stationshaus am Max-Weber-Platz im Juni 1940.

Kurz nach dem Krieg kommt der TW 2001, ein „Römer“ auf der Linie 12 noch mit Stangerl vom Herkomerplatz auf den Max-Weber-Platz. Das Stationshaus hat den Krieg unversehrt überstanden. Allerdings sieht man gut, dass der südliche Bogen des Vorbaus zu einem Zeitungskiosk umgebaut wurde.

Blick auf das Stationshaus auf dem Max-Weber-Platz im Jahr 1951. Noch wird das Stationshaus auf allen Seiten umfahren.



Das hatte sich der Herr Uhl, Stadtrat und Vorsitzender der SPD Haidhausen einfacher vorgestellt: er wollte einen Schaukasten für seine Partei am Stationshaus am Max-Weber-Platz aufhängen. Da genügt nun ein einfacher Brief eines Stadtrats nicht. Am 17.Juni 1974 erreichts das Schreiben den Oberbaudirektor und ein langer Weg durch die Behörden geht auch für den Herrn Stadtrat los.

Am 1.August gibt es dann die Genehmigung nach einem 4-seitigen Genehmigungsverfahren, das Herrn Stadtrat Uhl dazu verpflichtet, dass der Schaukasten weder beleuchtet wird noch signalmäßig blinkt. Außerdem muss bei Widerruf der Schaukasten innerhalb von 2 Wochen wieder entfernt werden.

Und siehe da: im Jahr 1982 hängt der SPD-Infokasten immer noch am Stationshaus am Max-Weber-Platz.


Der 24.Januar 1980 war ein regnerischer Tag. Im Rahmen des Baus der damaligen U5 und U9-Bahnhofsplanung „Max-Weber-Platz“ erfolgt am 2.April 1980 die Abbruchgenehmigung für dieses Gebäude. Bedingung: es wird nach dem U-Bahnbau wieder ähnlich aufgebaut.




Im Jahr 1982 sind schon die Tage dieses Stationshauses am Max-Weber-Platz gezählt. Die Funktion als Stationshaus nimmt es schon einige Jahre nicht mehr wahr, weil inzwischen alle Triebwagen mit Funk ausgerüstet sind und somit zentral dirigiert werden könne. Außerdem wir die Stadt mit einem U-Bahn-Netz verbunden und für die Baustelle muss das Haus Baujahr 1906 weichen.



Ein Hauch von altem Stationshaus bleibt erhalten mit dem Nachbau dieses Gebäudes in den Außenformen als Ausstieg aus dem neuen U-Bahnhof.
Wo findet man all diese schönen Pläne, Karten und Informationen? Speziell zum Max-Weber-Platz gibt des 3 Akten im Stadtarchiv in München. Die beginnen im 19. Jahrhundert und beinhalten die komplette Geschichte von der ersten Anregung, Bürgerbitten und weiter Planungsunterlagen, Kalkulationen und Einwände. In unserem Fall sind es fast hundert Jahre Stadtgeschichte in einem Ordner. Besonders interessant sich die damaligen Verwaltungsvorgänge, die Post benötigte als Brief damals wie heute einen Tag. Allerdings lagen Antworten meistens ein paar Tage später schon vor. Dank den damals akribisch arbeitenden Sekretären wurde alles abgeheftet: ausgehende Brief in Abschriften oder Zweit- und Drittschriften, denn es gab damals weder Schreibmaschinen mit Durchschlägen, Kopierer schon gar nicht und die feinen Tuschfedern konnte man nicht mit Kohlepapier benutzen. Die meisten Textstücke bis ca. 1906 sind obendrein in Kurrent, der altdeutschen Schrift verfasst. Die überträgt unser Vereinsmitglied Gert v. Rosen in lesbare Texte.
Ein großer Dank an dieser Stelle an alle Beteiligten!


