Die Schleife am Effnerplatz
Der Effnerplatz ist nach dem in München tätigen Baumeister Joseph Effner (u.a. Badenburg, Pagodenburg, Schloss Schleissheim) und seinem Urenkel, dem Gartengestalter Carl von Effner benannt.

Joseph Effner

Carl von Effner

Als im Frühjahr 1959 die Umsetzung des neuen Verkehrsplan für München im Stadtrat beschlossen wurden, – unter anderem eine Unterpflasterbahn, wurde auch die Führung des Mittleren Rings geplant und damit die Entstehung des Effnerplatzes. Dabei erscheinen auch erstmalig Schienenpläne für den Effnerplatz. Bemerkenswert ist an diesem Plan die auch geplante Weiterführung der Trambahn bis nach St. Emmeram damals schon. Allerdings sieht man die Linienführung noch in der alten Straßenführung der Engelschalkingerstraße, die heute deutlich eckiger etwas nördlicher nach Osten abbiegt.


Der Effnerplatz ist ein eher junger Platz in München und wurde 1931 geschaffen. Die Trambahn ging ab 1927 lange Zeit sowohl über die Montgelasstraße als auch die Ismaningerstraße nur bis zum Herkomerplatz. Am 24.Februar 1960 gab es den ersten Entwurf für die Verlängerung der Münchner Trambahn noch mit ausgiebig geplanten Hinterstellgleisen in der Schleifenmitte.
1961 kam dann die Umsetzung der kurze Verlängerung zum Effnerplatz.
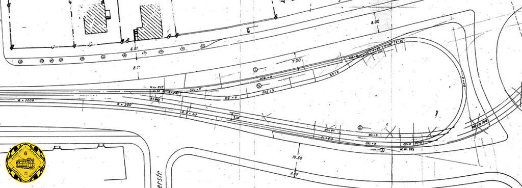
Die Planer der Verkehrbetriebe haben ganze Arbeit geleistet: eine Bauzeichnung mit allen Ergänzungen und anderen Eintragungen am Effnerplatz zeigt die ursprüngliche Version der Schleife ohne Weiterführung Richtung Norden.



Der Effnerplatz hatte auch ein Hinterstellgleis. Es is auf unseren Gleisplänen nicht eingezeichnet, aber fotografisch gut dokumentiert.
Mit der doppelten Verlängerung, einmal von 1970 bis 1980 und dann wieder ab 2011, kam das durchführende Gleis stadteinwärts dazu.




Zwischen 1970 und 1980 fuhr die Trambahn schon mal über den Effnerplatz auf einer ähnlichen Gleisführung wie heute auf ihrem Weg zum Cosimapark.


Nach der Stilllegung der Stecke über dem Effnerplatz hinaus wurden die Schienen nur teilweise entfernt, durchtrennt und liegen gelassen.


Mit der Untertunnelung des Effnerplatzes im Zuge des Ausbaus des Mittleren Rings änderte sich vieles am Effnerplatz: eine völlig neue Auto-Verkehrsführung entstand und das prägende Denkmal in der Mitte des Kreisverkehrs.


Ab dem 21.5.2010 bis in den Herbst 2011 wurde die Strecke vom Effnerplatz über Cosimastraße und Englschalkingerstraße nach St. Emmeram gebaut. Der 1. Spatenstich für diese neue Tramstrecke war am 21.5.2010. Dazu mussten zuerst die alten Gleisreste, wie weitgehend erhalten waren, ersetzt werden.
Am 11.12.2011 wurde dann die Strecke vom Effnerplatz über Cosimastraße und Englschalkingerstraße bis zur neuen Schleife St. Emmeram eingeweiht mit einem Fest am 10.12.2011, ab 11.12. 2011 begann dann der Linienverkehr Linie 16.
Unser Heidelberger TW 721 aus dem MVG-Museum kam für eine Sonderfahrt am 10.Dezember 2011 extra hier raus zum Effnerplatz.


Am 07.04.1961 startete die Linie 9 ihre Fahrt damals zum Gondrellplatz und blieb dem Effnerplatz treu bis zum 31.05.1975, wobei sie ab 17.10.1970 die Verlängerung weiter zum Cosimapark befuhr.


Gleichzeitig quasi als Erstausgabe befuhr ab 07.04.1961 die Linie 12 den Effnerplatz auf ihrer Route zum Wettersteinplatz. Ende für die Linie 12 am Effnerplatz war am 20.04.1968.


Die Linie 20 schnupperte schon 1904 unten an der Montgelasstraße, fuhr allerdings als Dritte im Bunde ebenfalls ab 07.04.1961 erst hier vom Effnerplatz ab zum Tierpark. Der letzte 20er startete hier am 02.06.1996, inzwischen nach Moosach.



Fast schon ein Neuling am Effnerplatz ist die Linie 16, die seit 11.12.2011 hier vorbeikommt.


Die Linie 17 hatte hier ein Gastspiel vom 01.06.1996 bis 05.11.2011 und fährt jetzt wieder ab 10.12.2017 mit bautechnischen Unterbrechungen hier vorbei.


Ab 19.10.1980 mit kleineren Unterbrechungen kam hier auch die Linie 18 bis 16.05.2011 vorbei.


Ab 08.03.2021 fährt die Linie 36 von St. Emmeram – Arabellapark über den Effnerplatz – Lerchenfeldstraße – Maxmonument – Isartor zum Sendlinger-Tor-Platz als Baustellenlinie. Letzter Betriebstag: 20.06.2021


Ab dem 15.03.2020 kommt am Effnerplatz auch die Linie 37 mit Unterbrechungen vorbei.


